Jak Poruszać Się Po Zakładce Struktura?(Zakres 3 - Kategoria 3.1)
Struktura - Zakres 3 - Kategoria 3.1
Kategoria 3.1: Emisje z zakupionych paliw
Kategoria 3.1 obejmuje emisje związane z zakupionymi paliwami, obejmujące procesy wydobycia, produkcji oraz transportu paliw zużywanych przez spółkę raportującą, które nie zostały uwzględnione w zakresie 1 lub 2.
Strukturę tej kategorii można zbudować w ramach dwóch metod obliczeniowych:
-
metody specyficznej dla dostawcy,
-
metody średnich danych.
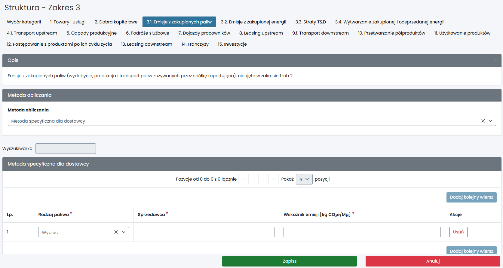
Metoda specyficzna dla dostawcy
Metoda polega na wykorzystaniu indywidualnych wskaźników emisji dostarczonych bezpośrednio przez sprzedawców paliw.
W ramach metody należy uzupełnić pola dotyczące:
-
Rodzaju paliwa – wybór z listy rozwijanej, gdzie pozycje zależą od wskaźników emisji dostępnych w bazie DEFRA,
-
Sprzedawcy – nazwa dostawcy,
-
Wskaźnika emisji [kg CO2e] – wskaźnik uzyskany od sprzedawcy.
Po wprowadzeniu danych w ramach jednego wiersza należy zapisać zmiany, klikając przycisk „Zapisz”. Dopiero po zapisaniu możliwe jest dodanie kolejnego wiersza do tabeli.

Metoda średnich danych
Metoda średnich danych opiera się na wykorzystaniu uśrednionych wskaźników emisji.
W aplikacji dla kategorii 3.1 metoda średnich danych umożliwia wprowadzenie wskaźników własnych. Natomiast, w menu „Komponent ślad węglowy” można wprowadzić dane dla wskaźników DEFRA.
Dla wskaźników własnych w ramach budowania struktury należy uzupełnić następujące pola:
-
Rodzaj paliwa – wybór z listy rozwijanej,
-
Jednostka – jednostka, w jakiej wyrażona jest ilość zakupionego paliwa,
-
Wskaźnik emisji [kg CO2e/jednostka] – wskaźnik dla wskazanego paliwa,
-
Źródło wskaźnika – źródło, z którego pochodzi wartość wskaźnika.
Po wprowadzeniu danych w ramach jednego wiersza należy zapisać zmiany, klikając przycisk „Zapisz”. Dopiero po zapisaniu możliwe jest dodanie kolejnego wiersza do tabeli.
